Thumbnail
Έντονη ανησυχία από τον κυβερνήτη

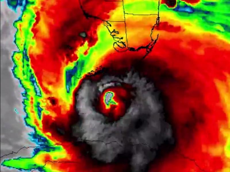
Στο κατώφλι της Φλόριντα κινείται πλέον το «μάτι» του κυκλώνα Ίρμα, με ταχύτητα 12,8 χλμ. και μέγιστη ταχύτητα ανέμων τα 209,2 χλμ την ώρα.

Πάνω από ένα εκατομμύριο σπίτια και επιχειρήσεις έχουν μείνει χωρίς ηλεκτρικό ρεύμα στην Πολιτεία των ΗΠΑ, σύμφωνα με την εταιρία διανομής και διαχείρισης της ηλεκτρικής ενέργειας (Florida Power & Light).

Από την πλευρά του, ο κυβερνήτης της Πολιτείας, Ρικ Σκοτ, εκφράζει την έντονη ανησυχία του για το ύψος των θαλασσίων κυμάτων που αναμένεται να προκαλέσει ο κυκλώνας. "Είμαι ιδιαίτερα ανήσυχος για την δυτική ακτή", δήλωσε συγκεκριμένα.

Παράλληλα, ο Σκοτ αποκάλυψε ότι ο πΠρόεδρος των ΗΠΑ,  Ντόναλντ Τραμπ, υποσχέθηκε να διαθέσει οτιδήποτε χρειαστεί, προκειμένου η Φλόριντα ν' αποκαταστήσει τις ζημιές, από το πέρασμα της Ίρμα.

Η πορεία του κυκλώνα Ίρμα προς τα δυτικά, είναι "το χειρότερο σενάριο" για μερικές από τις κομητείες στην Φλόριντα, δήλωσε αξιωματούχος της Υπηρεσίας Αντιμετώπισης Εκτάκτων Αναγκών των ΗΠΑ (FEMA).

Ένας άντρας που έχασε την ζωή του σε τροχαίο δυστύχημα με την εμπλοκή ημιφορτηγού, πιστεύεται ότι είναι το πρώτο θύμα του κυκλώνα Ίρμα, στην Φλόριντα, σύμφωνα με την αστυνομία.

Ο κυκλώνας "Ίρμα" χαρακτηρίζεται ως ο ισχυρότερος έχει καταγραφεί στην ιστορία. Στο πέρασμά του από την Καραϊβική άφησε πίσω του πάνω από 22 νεκρούς και τεράστιες καταστροφές στις υποδομές πολλών μικρών φτωχών νησιωτικών κρατιδίων της περιοχής.

Παρόλο που την περασμένη Παρασκευή "έπεσε" στην κατηγορία ισχύος 4, η "Ίρμα" ενισχύθηκε ξανά ανεβαίνοντας στην ανώτατη κατηγορία 5.

Δείτε παρακάτω ένα εντυπωσιακό Timelapse βίντεο από την πορεία της "Ίρμα" στις νότιες-νοτιοδυτικές ακτές της Φλόριντα:

Timelapse shows massive Hurricane #Irma approaching southern Florida over last six hours: https://t.co/nj96Sqwc92 pic.twitter.com/IQVH2Rview

— ABC News (@ABC) 10 Σεπτεμβρίου 2017

Όλες οι σημαντικές και έκτακτες ειδήσεις σήμερα

Νέο Προσκλητήριο Προσλήψεων Εκπαιδευτών Ενηλίκων: Αφορά όλα τα πτυχία ΑΕΙ-ΤΕΙ - Πιστοποιηθείτε άμεσα

ΕΥΚΟΛΕΣ πιστοποιήσεις ΙΣΠΑΝΙΚΩΝ - ΙΤΑΛΙΚΩΝ για ΑΣΕΠ για Εκπαιδευτικούς - Πάρτε τις ΑΜΕΣΑ μόρια 2ης ξένης γλώσσας

Παν.Πατρών: Tο 1ο στην Ελλάδα Πανεπιστημιακό Πιστοποιητικό ΤΕΧΝΗΤΗΣ ΝΟΗΜΟΣΥΝΗΣ για εκπαιδευτικούς

Πανεπιστήμιο Αιγαίου: Το κορυφαίο πρόγραμμα ειδικής αγωγής στην Ελλάδα - Αιτήσεις έως 14/9

Μοριοδοτούμενο σεμινάριο Ειδικής Αγωγής Πανεπιστημίου Πατρών με μόνο 60 ευρώ 

Google news logo Ακολουθήστε το Alfavita στo Google News Viber logo Ακολουθήστε το Alfavita στo Viber

σχετικά άρθρα

καφές
Ποια φάρμακα δεν πρέπει ποτέ να τα καταναλώνεις με καφέ
Eίναι σημαντικό να γνωρίζετε ποια φάρμακα δεν πρέπει να συνδυάζονται με καφέ, ώστε να αποφύγετε κινδύνους και να εξασφαλίσετε την καλύτερη δυνατή...
Ποια φάρμακα δεν πρέπει ποτέ να τα καταναλώνεις με καφέ
28h_oktovriou
«Κόβονται» οι απουσίες στη γιορτή της 28ης Οκτωβρίου – Τι ισχύει για τους μαθητές
Το Υπουργείο Παιδείας ξεκαθαρίζει πως η παρουσία των μαθητών στις εορταστικές εκδηλώσεις είναι υποχρεωτική
«Κόβονται» οι απουσίες στη γιορτή της 28ης Οκτωβρίου – Τι ισχύει για τους μαθητές