ΑΚΡΑΙΑ ΚΑΙΡΙΚΑ ΦΑΙΝΟΜΕΝΑ

nate.jpg
22 νεκρούς αφήνει πίσω του ο τυφώνας Νέιτ
Σε κατάσταση έκτακτης ανάγκης έχουν τεθεί Κόστα Ρίκα, Νικαράγουα και Ονδούρα μετά το πέρασμα της τροπικής καταιγίδας Νέιτ, η οποία έπληξε τις χώρες...
22 νεκρούς αφήνει πίσω του ο τυφώνας Νέιτ
akraio.jpg
MIT: Έλληνας ερευνητής ανέπτυξε αλγόριθμο πρόβλεψης ακραίων φαινομένων σε θάλασσα και στεριά
Έναν νέο αλγόριθμο υπολογιστή, που βοηθά στην πρόβλεψη των ακραίων γεγονότων κάθε είδους στη στεριά, στη θάλασσα και στον αέρα, ανέπτυξε ένας Έλληνας...
MIT: Έλληνας ερευνητής ανέπτυξε αλγόριθμο πρόβλεψης ακραίων φαινομένων σε θάλασσα και στεριά
mparmpoynta.jpg
Τυφώνας Ίρμα: Έμεινε άστεγο το 50% του πληθυσμού της Μπαρμπούντα
Ο πρωθυπουργός της Μπαρμπούντα δήλωσε νωρίτερα πως στο νησί της Καραϊβικής επικρατεί «πλήρης καταστροφή» μετά το πέρασμα του Ίρμα...
Τυφώνας Ίρμα: Έμεινε άστεγο το 50% του πληθυσμού της Μπαρμπούντα
kataigida_8.jpg
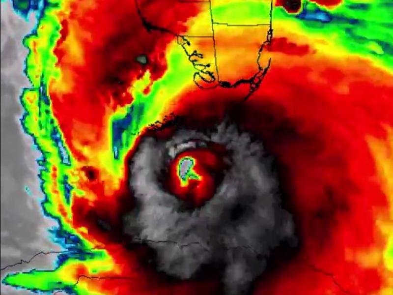
5 νεκρούς αφήνει πίσω του ο τυφώνας Χάρβεϊ - Φόβοι για βαρύτερο τελικό απολογισμό
Τουλάχιστον πέντε νεκρούς, δρόμους-ποτάμια και μεγάλες καταστροφές έχει αφήσει πίσω του μέχρι στιγμής ο τυφώνας Χάρβεϊ, που σαρώνει την πολιτεία του...
5 νεκρούς αφήνει πίσω του ο τυφώνας Χάρβεϊ - Φόβοι για βαρύτερο τελικό απολογισμό